Lions of the deep

Author: Henry Duffy, Volunteer

Henry Duffy is a core team volunteer for Action for Conservation. Here he tells us more about his conservation work in Belize with Blue Ventures and why volunteering in conservation is so important!

Viewed from the surface, ninety-nine percent of the habitats and creatures of the marine environment are concealed, with only the occasional glimpse rising from the water and little indication of the wondrous diversity below. Much of the underwater world could disappear entirely and, at the surface, almost no obvious change would be visible to the casually observing eye. It was this fascination with ‘what lies below’ (initially nurtured by excessive viewings of The Blue Planet!), coupled with concern about what could be unknowingly lost, that motivated me to pursue SCUBA diving and then, inevitably, a career in marine conservation.

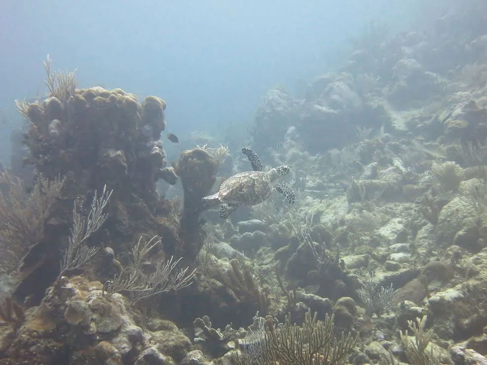
A hawksbill turtle (Eretmochelys imbricate) spotted in Bacalar Chico Marine Reserve, Belize.

A hawksbill turtle (Eretmochelys imbricate) spotted in Bacalar Chico Marine Reserve, Belize.

All seven species of marine turtle are considered as globally threatened with extinction, and the reserve provides a haven for these animals with five species recorded in the area so far. Credit: Frederieke Peiffer.

After being drawn into focusing on the study of coral reefs, I am currently fortunate to be working as a Field Scientist in Belize with Blue Ventures. This UK-based NGO aims to rebuild tropical fisheries with coastal communities. We work in places where the ocean is vital to local cultures and economies and are committed to protecting marine biodiversity in ways that benefit coastal people. In the case of Belize, the important marine resources for coastal communities are species supported by the country’s coral reefs and mangroves, such as lobsters, conch (a large aquatic snail) and various fishes such as groupers and snappers. One branch of Blue Ventures’ work involves bringing volunteers on scientific expeditions where they are trained in SCUBA diving and marine survey techniques in order to collect data on coral reef health in Belize, with similar programmes in Timor-Leste and Madagascar. As a Field Scientist and PADI SCUBA Instructor, I am responsible for delivering the diving and science training programmes onsite in Belize, and ensuring that all surveys are conducted to Blue Ventures’ high standards for data collection. Through this role I have the chance to gain experience in leading a diverse range of survey types, primarily focusing on SCUBA diving to assess reef fish populations, the health of reef-building corals, coral bleaching and the impact of the invasive lionfish.

Coral reef in the foreground, a mix of green and yellow coral with the blue ocean behind and fish swimming near the water surface

A view of the beautiful underwater scenery of Belize's coral reefs, with hard corals, algae, sponges and soft corals all competing for space while a triggerfish cruises in the background. Monitoring the health of reef-building hard corals is a key part of Blue Ventures' work. Credit: Olivia Clayton.

The lionfish problem is the most fascinating, complex conservation issue that I have come across in Belize. In a nutshell, the lionfish naturally occurs in the Indian and Pacific oceans, but has spread across the Caribbean after escaping from aquariums in Florida (hence the use of the term; invasive species). Lionfish are voracious predators equipped with eighteen defensive venomous spines, and they consume huge numbers of juvenile fish which are vulnerable to these dangerous, unfamiliar new arrivals. Consequently the lionfish invasion threatens both coral reef biodiversity and fishing livelihoods throughout the Caribbean. Blue Ventures is involved in multiple projects which aim to combat the lionfish invasion in Belize, showcasing complementary ecological, social and economic approaches to marine conservation. Under the water, we survey reefs in Northern Belize to assess lionfish abundance, and spear lionfish on culls in order to reduce their numbers. On dry land, we encourage restaurants to put lionfish on their menus (I can confirm it is delicious!) and support a women’s group which makes jewellery out of the lionfish’s beautiful fins. It is inspiring to see such a diverse conservation approach in action, involving such a wide variety of people from Belize and around the world.  

Invasive lionfish (Pterois volitans) with red and orange stripes are set out on a table after being speared on a culling dive, they are ready for dissection by Blue Ventures staff.

Invasive lionfish (Pterois volitans) speared on a culling dive are lined up ready for dissection by Blue Ventures staff. Dissections are critical to improving our understanding of the lionfish problem, such as providing information on the prey species consumed by examining stomach contents. Credit: Henry Duffy.

I am very grateful to be able to study coral reefs in the tropics, and this represents one of many unique global opportunities that might arise through making a professional commitment to conservation. The volunteers at Blue Ventures learn a huge amount during their expeditions, and Blue Ventures could not collect such a wealth of ecological data without the support of volunteers. I would strongly encourage anyone considering conservation as a career to pursue volunteering opportunities with organisations offering training in field survey techniques and other relevant skills. I am certain that voluntary roles in the UK and abroad have been essential to my career development within conservation, and they provided vital knowledge and connections which I continue to use. A full time commitment is certainly not required, and volunteering in combination with other work can be equally rewarding. I consider my time as an Education Volunteer at ZSL London Zoo, which was just one day a week over roughly two years, as an important stepping stone to my current position. Many conservation organisations benefit hugely from highly motivated volunteer support, so find one whose work interests you and see what opportunities they offer. You never know what you might find, or where in the world your first steps into conservation might eventually take you…

Previous
Previous

UK Rewilding: A Case Study of the Lynx

Next
Next

Ambassadors take Action